
Escucha este artículo
Audio generado con IA de Google
0:00
/
0:00
El poderoso huracán Matthew, con vientos sostenidos de 185 kilómetros por hora, ha dejado una gran marca a su paso por Bahamas, Cuba, República Dominicana, Colombia, Venezuela, Jamaica y Haití. Inundaciones, lluvias torrenciales, evacuaciones y aumento de oleaje, han sido algunas de las consecuencias del mayor huracán que ha azotado el Caribe en casi una década. A día de hoy, el ciclón ha dejado 9 muertos a su paso por Haití y República Dominicana, y cerca de 1.3 millones de evacuados en todos los lugares por los que ha pasado. (Vea: Los destrozos que dejó huracán Matthew tras su paso por Cuba)
Miles de fotografías y videos han sido tomados en los lugares afectados por Matthew, pero quizá las imágenes más curiosas han llegado desde el espacio. Hasta el momento, han sido dos peculiares tomas hechas por la Estación Espacial Internacional (EEI) y la Agencia Espacial de EE.UU. (NASA). La primera, de la EEI, sorprende por el gran tamaño de Matthew, que logra observarse en el video que subió la agencia a su cuenta de Twitter.
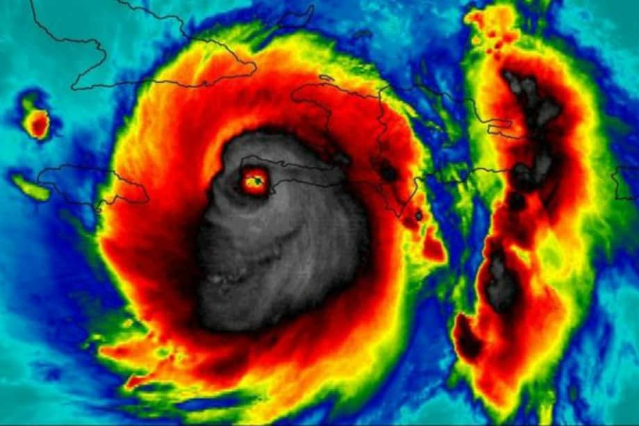
La otra sorprendió por tratarse de un caso de pareidolia, principalmente en redes sociales. Muchos internautas han asemejado la captura de la NASA con una imagen espectral, al no ser una fotografía sino un desglose de la tormenta en un mapa de calor desde el espacio. La imagen de inmediato fue ampliamente replicada en redes sociales, mientras que los internautas seguían asegurando que el ojo del huracán, y las zonas que devastaba a su paso, formaban una especie de calavera.Cameras outside the space station captured dramatic views of major Hurricane Matthew as the orbital complex flew 250 miles above (speed x4). pic.twitter.com/nfAQuw2OQC
— Intl. Space Station (@Space_Station) 3 de octubre de 2016

Pese a que los daños que ha dejado Matthew en su paso varios países sí han sido motivo de terror, por supuesto que la imagen es solo una coincidencia que en redes sociales han querido asociar con los destrozos del ciclón. Por ahora, el ojo del huracán está a 275 kilómetros al sur-sureste de Nassau, en las Bahamas, y a 580 km al sureste de West Palm Beach, en el estado de Florida (EE.UU.). Matthew avanza a 19 kilómetros por hora, y con sus vientos sostenidos de 185 kilómetros por hora, hacia el sureste de EE.UU., manteniendo en alerta a los pobladores de Florida, que se cree será el estado más afectado por su paso.