
Escucha este artículo
Audio generado con IA de Google
0:00
/
0:00
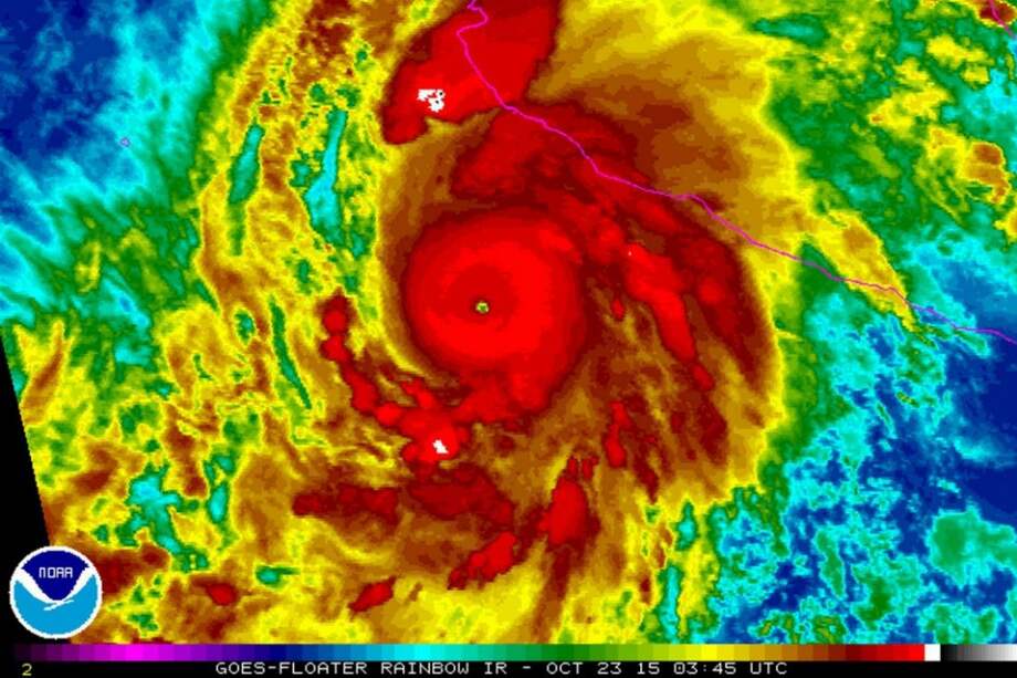
Antes del cierre de esta edición, el Centro Nacional de Huracanes de Estados Unidos había asegurado que la velocidad que había alcanzado no tenía precedentes: 322 kilómetros por hora que podían elevarse a 330.
Para hacerse una idea de la intensidad de Patricia, basta revisar los últimos eventos climáticos. Los vientos del “supertifón” Haiyan, que golpeó a Filipinas en 2013, por ejemplo, eran de 311 kilómetros por hora y su acción cobró la vida de 6.300 personas. El huracán Wilma, que golpeó la península de Yucatán y el estado de Florida (EE.UU.), tenía vientos que viajaban a 298 kilómetros por hora. El Katrina, que dejó un saldo de 1.833 fallecidos y causó pérdidas materiales por US$108.000 millones en la costa estadounidense del golfo de México, alcanzó una velocidad máxima de 282 kilómetros por hora.
En cuanto al registro de presión, que indica la intensidad, el de Patricia no es alentador: 880 milibares (el del mar, normalmente, es de 1.013 milibares). El de Wilma fue de 882, el de Katrina de 902 y el de Sandy, que aplastó a Nueva York en 2012, fue de 940 milibares.
Y aunque por lo general las lecturas de estas tormentas se hacen cuando aún están en el mar y su velocidad disminuye al aproximarse a tierra, este no parece ser el caso de Patricia.
“Puede levantar automóviles, casas que no estén cimentadas con acero y varilla, y arrastrar a la gente que camine por las calles”, dijo el director general de la Comisión Nacional del Agua (Conagua).
Hasta ayer, el huracán estaba en categoría 5, la máxima en la escala de Saffir-Simpson. Además, su formación ha asombrado a los expertos. Algunos la han clasificado de histórica porque en menos de 10 horas pasó de ser una simple tormenta tropical a un evento climático sin precedentes.
“Patricia se transformó de ser una conglomeración de tormentas eléctricas poco organizadas a uno de los sistemas tormentosos más fuertes y perversos del planeta”, aseguró el Centro Nacional de Huracanes de EE.UU.