
Escucha este artículo
Audio generado con IA de Google
0:00
/
0:00
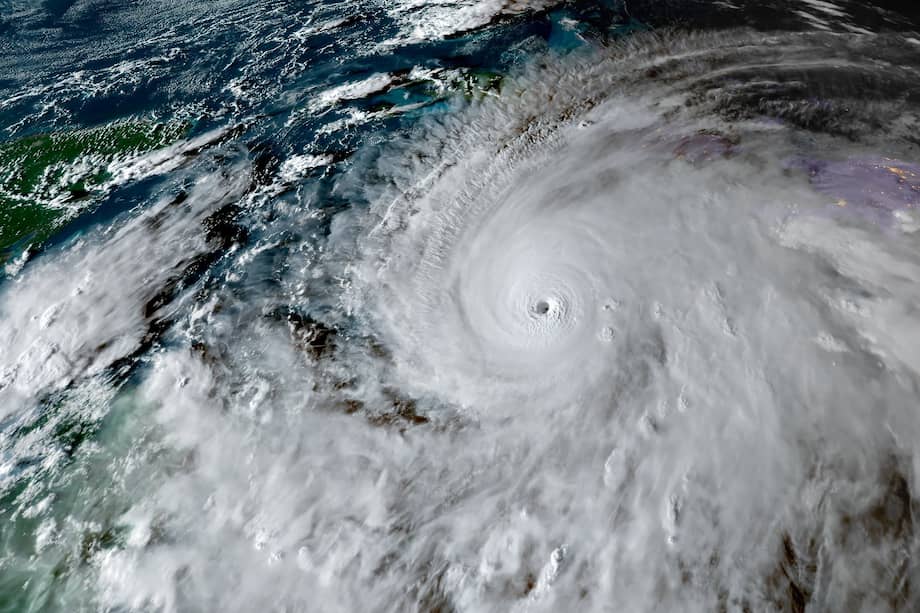
El huracán Melissa, en los últimos días, se fortaleció y alcanzó la categoría 5 en la escala Saffir-Simpson, la más alta en la clasificación de ciclones tropicales, según ha informado el Centro Nacional de Huracanes de la Administración Nacional Oceánica y Atmosférica (NOAA) del gobierno de Estados Unidos.
(Lea: ¿Qué es el “efecto estadio” que se está observando en el huracán Melissa?)
Entre la noche de este lunes y la madrugada del martes, llegó a Jamaica, provocando marejadas ciclónicas, lluvias torrenciales e inundaciones que han dejado al menos cuatro muertos y amenaza a millones de personas.
Pero, ¿cómo se forman y de qué dependen su fuerza? Para determinar esto, la Nooa asegura que se debe tener en cuenta la diferencia entre ciclón tropical, perturbación tropical, depresión tropical, tormenta tropical, huracán o tifón. Aquí le explicamos lo principal que debe tener en cuenta:
¿Qué es un huracán?
Lo primero que dice la National Oceanic and Atmospheric Administration (Nooa) es que se debe tener en cuenta la diferencia entre ciclón tropical, perturbación tropical, depresión tropical, tormenta tropical, huracán o tifón.
Entonces, explica la entidad en su página web, cuando hablamos de ciclón tropical nos referimos a un sistema de baja presión que se formó sobre aguas tropicales (25°S a 25°N) con actividad de tormentas eléctricas cerca del centro de sus vientos cerrados y ciclónicos.
En cuanto a los ciclones tropicales, la Nooa asegura que obtienen su energía de las diferencias verticales de temperatura, son simétricos y tienen un núcleo cálido. Pero, si llega a carecer de circulación cerrada, ya pasaría a ser una perturbación tropical. En cambio, si tiene una circulación cerrada, pero con menos de 39 mph de vientos máximos sostenidos en superficie, se denomina depresión tropical.
(Puede ver: Huracán Melissa se acerca a Jamaica: 1,5 millones de personas en riesgo)
Las tormentas, en cambio, se presentan cuando los vientos superan ese umbral y, en este punto, es cuando recibe un nombre. Finalmente, los huracanes o los tifones se originan cuando los vientos superan las 74 mph.
¿Cómo se forman los huracanes?
La Nooa aclara que los huracanes “son fenómenos meteorológicos de gran potencia que absorben el calor de las aguas tropicales para alimentar su fuerza”. También dice que estas tormentas se forman sobre el océano y que, a menudo, comienzan como una onda tropical en una zona de baja presión que se desplaza por los trópicos ricos en humedad. Esto puede intensificar la actividad de lluvias y tormentas eléctricas.
Para que se formen, añade la NASA, se necesitan cuatro elementos clave: aguas cálidas (es fundamental la energía del agua cálida del océano para que se fortalezcan); baja presión atmosférica (permiten que los vientos fluyan hacia el centro de la tormenta y el aire sea impulsado hacia arriba); aire cálido y húmedo (posibilita la formación de nubes densas); y vientos ligeros fuera de la tormenta (la dirigen, pero no son lo suficientemente fuertes como para desestabilizarla).
Entonces, ¿cómo comienza a formarse un huracán? La forma más común en el Atlántico (donde surgen más del 60 % de estos fenómenos) es una onda tropical, la cual inicia una perturbación atmosférica que crea un área de relativa baja presión.
(Le puede interesar: ¿Continuarán las lluvias en Colombia? Este es el pronóstico del clima según del Ideam)
En caso de que esta tormenta encuentre las condiciones adecuadas para mantenerse o desarrollarse, el área de baja presión empieza a moverse de este a oeste. Lo hace con la ayuda de los vientos alisios. Luego de llegar al océano Atlántico, esta onda tropical puede ser el comienzo de un huracán. Para formarse necesita de los cuatro elementos clave: aguas cálidas, baja presión atmosférica, aire cálido y húmedo y vientos ligeros.
¿Cuál es el ciclo de vida de un huracán y cómo se mueve?
La Nooa asegura que cuando una perturbación tropical, que se caracteriza por ser una zona de lluvias y vientos, se organiza mejor, puede convertirse en una depresión tropical. Aquí las nubes de tormenta comienzan a formarse en bandas en espiral, girando alrededor del centro y, a medida que el sistema se fortalece, los vientos aumentan y esas bandas interiores se cierran, formando un ojo.
Esto es lo que conocemos como el centro del huracán o el ojo del huracán, que básicamente es un área de calma rodeada por nubes muy altas y vientos fuertes, según detalla la Nooa. Entonces, cuando se forma ese ojo es porque normalmente la tormenta ya ha alcanzado fuerza de huracán.
En esta etapa, que es la más fuerte del huracán, puede pasar por ciclos de reemplazo del ojo y, durante ese proceso, los vientos pueden debilitarse temporalmente. Sin embargo, advierte la Nooa, después puede volver a aumentar el momento en el que el nuevo ojo se consolide.
Pero, ¿cuándo se puede debilitar el huracán? Lo hace en caso tal de que entre en zonas donde el viento sople con diferentes fuerzas o direcciones, que técnicamente se conoce como cizalladura vertical. También lo puede hacer si atraviesa áreas con aire seco.
El huracán se volverá más fuerte en caso de que siga tomando aire cálido y húmedo del océano. Allí, puede crecer y volverse mucho más fuerte. Además, es importante entender que el movimiento de los huracanes está guiado por grandes sistemas de presión atmosférica y uno de ellos es la cresta subtropical (o “Alto de las Bermudas” en el Atlántico).
En algunos casos, cuando el huracán llega al borde de esa cresta, suele cambiar de dirección, girando hacia el norte y luego hacia el este. Un cambio conocido como recurrencia y que explica por qué muchos huracanes del Atlántico terminan regresando al mar sin tocar tierra.
(Lea también: Pez basa: el Minambiente busca erradicarlo, prohibirlo y declararlo especie invasora)
Aquellos huracanes que tocan tierra, pueden perder fuerza rápidamente porque ya no tienen el aire cálido y húmedo del océano que lo alimenta. A esto se le suma que el aire seco del continente y la fricción del suelo lo podrían debilitar aún más.
¿De dónde obtienen su fuerza?
El Instituto Smithsonian reseña que para que se forme un huracán se necesita agua caliente, al menos a 27 °C (80 °F), aire húmedo y vientos convergentes. También describe que este proceso comienza con un conjunto de tormentas eléctricas que se desplazan por la superficie del océano.
Después, anota el instituto, “cuando el agua superficial está caliente, la tormenta absorbe la energía térmica del agua, como una pajita absorbe un líquido. Esto crea humedad en el aire. Si las condiciones del viento son las adecuadas, la tormenta se convierte en huracán. Esta energía térmica es el combustible de la tormenta. Y cuanto más caliente esté el agua, más humedad habrá en el aire”.
Estas condiciones se podrían traducir en huracanes más grandes y fuertes. En este punto, es que las instituciones estatales determinan la categoría de un huracán, la cual muestra el potencial destructivo de este.
De acuerdo a la entidad, lo que determina el potencial destructivo de un huracán es la marejada ciclónica, que es el nivel del agua generado por una tormenta y que suele ser el aspecto más devastador de un huracán, porque puede provocar inundaciones grandes. También son clave las precipitaciones, conocidas como las lluvias torrenciales asociadas con huracanes.
Otro de los aspectos fundamentales a tener en cuenta es la velocidad de avance con la que se desplaza un huracán, ya que influye de manera crucial en la magnitud de su impacto.
(Puede leer: Las fascinantes criaturas descubiertas en expedición a una de las partes más profundas del océano)
🌳 📄 ¿Quieres conocer las últimas noticias sobre el ambiente? Te invitamos a verlas en El Espectador. 🐝🦜